借りたい
賃貸物件を探す
買いたい
住宅や土地を探す
おまかせ物件探し
希望の物件をリクエスト
お知らせ
すーまるnetからのお知らせ
トピックス
取扱店からのお知らせ
不動産業者様へ
掲載やサイトについて
とかち・帯広の不動産・お部屋探し決定版!
「
借りたい
」「
買いたい
」 なんでもミツカル!
帯広・十勝管内の賃貸・売買情報「すーまるnet」
suumaru-net.com
management by
とかち・帯広の不動産・お部屋探し決定版!
「
借りたい
」「
買いたい
」 なんでもミツカル!
management by
借りたい
賃貸物件を探す
買いたい
住宅や土地を探す
おまかせ物件探し
希望の物件をリクエスト
お知らせ
すーまるnetからのお知らせ
トピックス
取扱店からのお知らせ
不動産業者様へ
掲載やサイトについて
参加取扱店|一覧をみる
|借りたい|
|エリアから探す|
|地図から探す|
|学校から探す|
|新着物件一覧|
|買いたい|
|マンション|
|一戸建|
|土地・収益物件|
|新着物件一覧|
◉
マイリストをみる
◉
すーまるnetについて
◉
物件の掲載について
◉
すーまるnetへのお問合せ
◉
ご利用規約
|買いたい|
物件詳細
マイリストに追加
印刷
【商談中】【建築条件なし!緑丘小・八中】西16南5 売土地
1,379
万
円
所在地
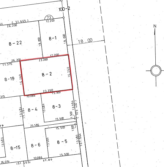
帯広市西16条南5丁目8-2
種別/階建
土地
面積
土地/379.67㎡
交通
拓殖バス 「常盤通6丁目」 バス停徒歩2分
取扱・お問合せ
(株)総合設計
0800014 北海道帯広市西四条南37丁目1
Tel.0155-49-3030
店舗詳細
ホームページ
メールでこの物件に問合せ
学校区
緑丘小学校 0.85km/第八中学校 0.95km
用途/地目
第二種中高層住居専用地域/宅地
引渡
相談
仲介手数料
521,070円
建築条件
なし
現況
更地
建ぺい/容積
建ぺい率60% 容積200%
接道状況
東幅35.31mの公道に16.26m接道
取引態様
媒介
コメント
緑ヶ丘公園 美術館近く・100坪以上・春駒通や弥生新道へのアクセス利便性あり!!
備考
境界標4箇所は再測量を行い売主負担にて打込みを行う方向です。
契約不適合責任は売主では負わない契約形態になります(昭和39年以来・更地状態)
防火地域、準防火地域の指定はなく建築基準法22条区域
設備等
-
メールでこの物件に問合せ
management by
Tel.0155-23-2323
Fax.0155-24-9190
〒080-8688 北海道帯広市東1条南8丁目2番地
年間約
50
回の広告掲載で、ネットと新聞のダブル効果!「すーまるnet」は参加店を随時募集中です!
すーまるnetについて
物件の掲載について
すーまるnetへのお問合せ
借りたい
| エリアから
| 地図から
| 学校から
| 新着物件一覧
買いたい
| マンション
| 一戸建
| 土地・収益物件
| 新着物件一覧
おまかせ物件探し
web特集
トピックス
不動産業者様へ
掲載店一覧
すーまるnetについて
物件掲載・広告掲載について
すーまるnetへのお問合せ
ご利用規約
© Tokachi Mainichi Newspaper Inc.
マイリスト
履歴
閲覧履歴
検索履歴