借りたい
賃貸物件を探す
買いたい
住宅や土地を探す
おまかせ物件探し
希望の物件をリクエスト
お知らせ
すーまるnetからのお知らせ
トピックス
取扱店からのお知らせ
不動産業者様へ
掲載やサイトについて
とかち・帯広の不動産・お部屋探し決定版!
「
借りたい
」「
買いたい
」 なんでもミツカル!
帯広・十勝管内の賃貸・売買情報「すーまるnet」
suumaru-net.com
management by
とかち・帯広の不動産・お部屋探し決定版!
「
借りたい
」「
買いたい
」 なんでもミツカル!
management by
借りたい
賃貸物件を探す
買いたい
住宅や土地を探す
おまかせ物件探し
希望の物件をリクエスト
お知らせ
すーまるnetからのお知らせ
トピックス
取扱店からのお知らせ
不動産業者様へ
掲載やサイトについて
参加取扱店|一覧をみる
|借りたい|
|エリアから探す|
|地図から探す|
|学校から探す|
|新着物件一覧|
|買いたい|
|マンション|
|一戸建|
|土地・収益物件|
|新着物件一覧|
◉
マイリストをみる
◉
すーまるnetについて
◉
物件の掲載について
◉
すーまるnetへのお問合せ
◉
ご利用規約
|買いたい|
物件詳細
マイリストに追加
印刷
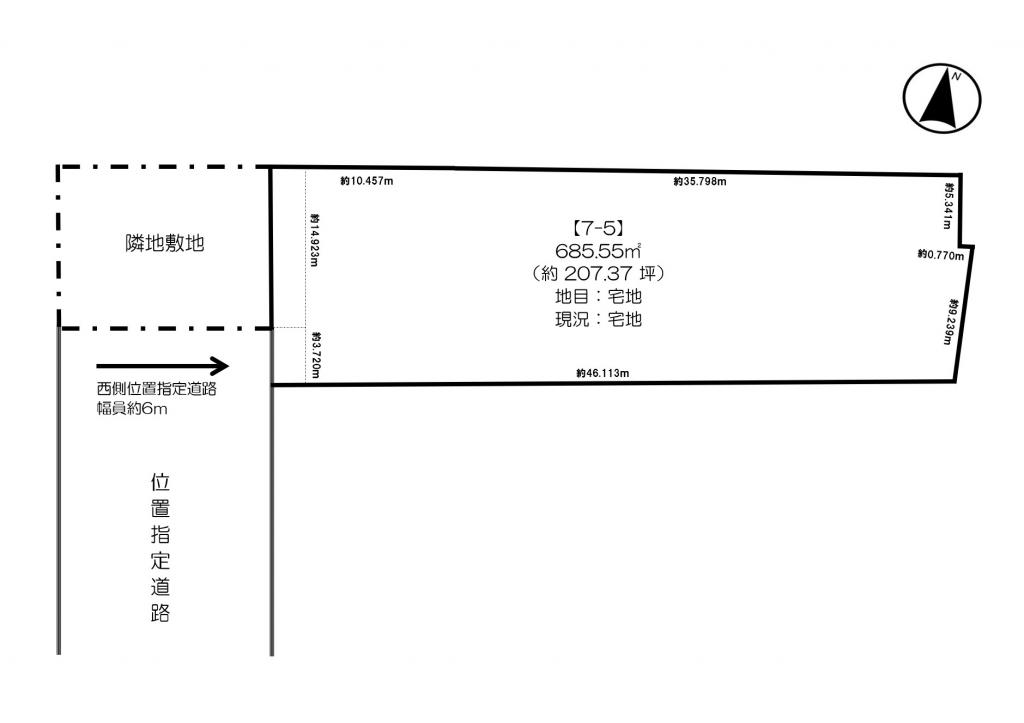
東1条北2丁目 売土地
2,277
万
円
所在地
帯広市東一条北2丁目7-5
種別/階建
土地
面積
土地/685.55㎡
交通
JR根室本線(新得~釧路) 帯広駅 徒歩29分
十勝バス 「【大川町】」 バス停徒歩3分
取扱・お問合せ
ハウスドゥ 白樺通
0800028 帯広市西18条南3丁目26番16号
Tel.0155-67-8833
店舗詳細
ホームページ
メールでこの物件に問合せ
学校区
東小学校 1.2km/翔陽中学校 2.2km
用途/地目
第一種中高層住居専用地域/宅地
引渡
相談
仲介手数料
751,416円
建築条件
なし
現況
更地
建ぺい/容積
建ぺい率60% 容積200%
接道状況
西幅6.00mの私道に3.72m接道
取引態様
媒介
コメント
●東1条北2丁目・207.37の広々とした売土地☆
●マンション用地として最適☆
●花火大会も見られる閑静な住宅街☆
●徒歩約6分圏内にスポーツ施設あり☆
●十勝川まで徒歩約15分でお散歩コースに最適☆
※西側は一部、位置指定道路になっており約3.720m接道しております。
※土地所有者と企業側で土地賃貸契約を交わしており、敷地内に通信基地局がございます。こちらの権利は譲渡されます。土地貸借契約を解除されたい場合には、土地取得後にお手続きをお願いいたします。
※図面と現況に相違がある場合は現況を優先とします。
備考
-
設備等
-
メールでこの物件に問合せ
management by
Tel.0155-23-2323
Fax.0155-24-9190
〒080-8688 北海道帯広市東1条南8丁目2番地
年間約
50
回の広告掲載で、ネットと新聞のダブル効果!「すーまるnet」は参加店を随時募集中です!
すーまるnetについて
物件の掲載について
すーまるnetへのお問合せ
借りたい
| エリアから
| 地図から
| 学校から
| 新着物件一覧
買いたい
| マンション
| 一戸建
| 土地・収益物件
| 新着物件一覧
おまかせ物件探し
web特集
トピックス
不動産業者様へ
掲載店一覧
すーまるnetについて
物件掲載・広告掲載について
すーまるnetへのお問合せ
ご利用規約
© Tokachi Mainichi Newspaper Inc.
マイリスト
履歴
閲覧履歴
検索履歴