借りたい
賃貸物件を探す
買いたい
住宅や土地を探す
お知らせ
すーまるnetからのお知らせ
トピックス
取扱店からのお知らせ
不動産業者様へ
掲載やサイトについて
とかち・帯広の不動産・お部屋探し決定版!
「
借りたい
」「
買いたい
」 なんでもミツカル!
帯広・十勝管内の賃貸・売買情報「すーまるnet」
suumaru-net.com
management by
とかち・帯広の不動産・お部屋探し決定版!
「
借りたい
」「
買いたい
」 なんでもミツカル!
management by
借りたい
賃貸物件を探す
買いたい
住宅や土地を探す
お知らせ
すーまるnetからのお知らせ
トピックス
取扱店からのお知らせ
不動産業者様へ
掲載やサイトについて
参加取扱店|一覧をみる
|借りたい|
|エリアから探す|
|地図から探す|
|学校から探す|
|新着物件一覧|
|買いたい|
|マンション|
|一戸建|
|土地・収益物件|
|新着物件一覧|
◉
マイリストをみる
◉
すーまるnetについて
◉
物件の掲載について
◉
すーまるnetへのお問合せ
◉
ご利用規約
|買いたい|
物件詳細
マイリストに追加
印刷
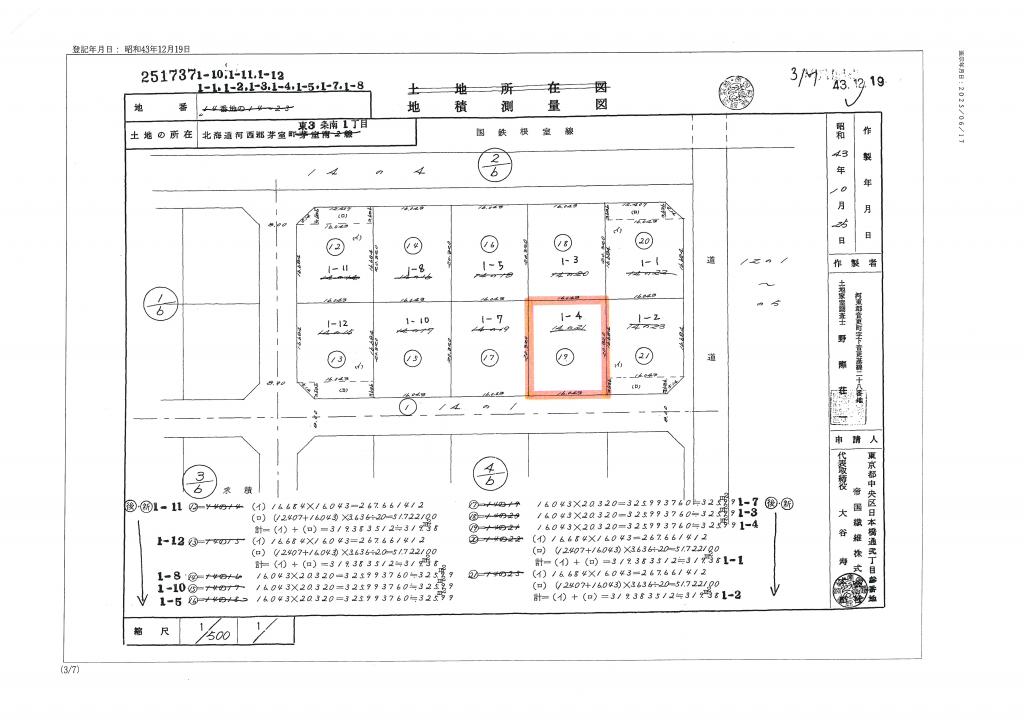
【価格改定しました!】芽室町東3条南1丁目 更地渡し
1,050
万
円
所在地
河西郡芽室町東三条南1丁目1番地4
種別/階建
土地
面積
土地/325.99㎡
交通
JR根室本線(新得~釧路) 芽室駅 徒歩7分
取扱・お問合せ
シノカワホーム
0800014 帯広市西4条南10丁目23番地
Tel.0155-25-2985
店舗詳細
ホームページ
メールでこの物件に問合せ
学校区
芽室小学校 0.3km/芽室中学校 0.5km
用途/地目
第一種中高層住居専用地域・第一種低層住居専用地域/宅地
引渡
相談
仲介手数料
412,500円
建築条件
なし
現況
既存建築物あり(解体後更地渡し)
建ぺい/容積
第一種中高層住居専用地域/建ぺい率60% 容積200%
第一種低層住居専用地域/建ぺい率0% 容積0%
接道状況
南幅7.00mの公道に16.04m接道
取引態様
専任
コメント
【価格改定しました!】
南道路付で98.6坪の売地です。
解体更地になります。
プラン作成無料で承ります。
現地案内も可能ですので、お気軽にお問い合わせください!
備考
-
設備等
整形地
LPガス
上水道
下水道
電気
メールでこの物件に問合せ
management by
Tel.0155-23-2323
Fax.0155-24-9190
〒080-8688 北海道帯広市東1条南8丁目2番地
年間約
50
回の広告掲載で、ネットと新聞のダブル効果!「すーまるnet」は参加店を随時募集中です!
すーまるnetについて
物件の掲載について
すーまるnetへのお問合せ
借りたい
| エリアから
| 地図から
| 学校から
| 新着物件一覧
買いたい
| マンション
| 一戸建
| 土地・収益物件
| 新着物件一覧
web特集
トピックス
不動産業者様へ
掲載店一覧
すーまるnetについて
物件掲載・広告掲載について
すーまるnetへのお問合せ
ご利用規約
© Tokachi Mainichi Newspaper Inc.